Na žádost podle zákona o svobodném přístupu k informacím jsme od městského úřadu získali projektovou dokumentaci k modernizaci náměstí. V tomto článku popíšeme stručně ty nejzásadnější změny.
Zároveň jsme připravili na téma rekonstrukce náměstí krátkou anketu na konci článku
Největší již realizovanou změnou je uzavření silnice od zámeckých schodů až ke Komunitnímu centru. Další plánovanou změnou je výrazná úprava výškových profilů prostoru mezi školou, silnicí a kostelem. Zídka, která dnes obkružuje palouk u školy by měla být odstraněna, celý terén snížen a vysvahován tak, že opěrné zídky budou vybudovány za školou až u silnice a na samotnou silnici od školy místo dlouhých pozvolných schodů budou kratší schody s běžnými stupni. Rovněž tři dlouhé schody u kostela budou nahrazeny pozvolným svahem. Opěrná zídka za školou u bývalé hasičské zbrojnice bude výrazně zkrácena a nahrazena svahováním.
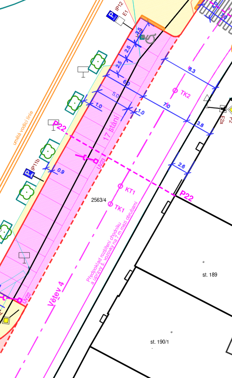
Chodník u hradeb za kostelem bude zrušen a místo něj bude vybudováno 20 kolmých parkovací míst. Celá oblast za kostelem bude vyznačena jako obytná zóna.
Vjezd za kostel bude výrazně zúžen, a vybaven příčným prahem pro snížení rychlosti. Zúžení výjezdu je takové, že se v něm nebudou moci míjet auta. Křižovatka před farou bude změněna tak, že silnice bude výrazně zúžena a místo současného rozsáhlého prostoru spojujících 3 silnice vzniknou 2 standardní křižovatky (u památníku a vjezd na hlavní), které by měly být přehlednější. Parkovací místa před farou zaniknou.
Pokud budou úpravy provedeny podle plánů, bude prostor za kostelem pro dopravu velmi těžko dostupný, což je cílem úprav. Silnice za kostelem bude zúžena tak, že její šíře neodpovídá minimální šířce silnice pro obousměrný provoz dle ČSN 736110 (5,5m). Vyhovuje požadavku na tzv. obousměrný úsporný provoz (3m). Parkovací místa budou pro větší vozidla pro pro vyjíždění a zajíždění velmi nekomfortní.
Dnes obvyklý ranní školní provoz nebude prakticky možný. Bylo by vhodné, kdyby zástupci města nabídli řešení/doporučení pro tento problém. Rodiče vozí děti do školy autem a to se zřejmě nezmění a plánované řešení by mělo tuto skutečnost zohlednit.
Hlavní silnice bude zúžena na šířku 7 metrů, chodník před obchody a restauracemi bude rozšířen o 1 metr. 17 kolmých parkovacích míst u náměstí zůstane zachováno.
Chodník od Koh-i-nooru až k Adélce bude výrazně rozšířen z nynějších cca 3 metrů až na 10 metrů. Stromy budou vykáceny a znovu vysázeny posunuté. Podél rozšířeného chodníku bude 15 parkovacích míst s šikmým stáním. Silnice kolem ostrůvku bude výrazně zúžená a bude mít po celé délce šířku cca 5 metrů. Před radnicí bude 5 parkovacích míst pro šikmé stání. Křižovatka u Koh-i-noor má být díky zúžení přehlednější a bezpečnější.
Anketa bude ukončena a vyhodnocena 21.1.2021
